Beschrijving
JAREN '30-HUIS, RUIMTE EN EEN ZONNIGE TUIN OP EEN TOPLOCATIE
Welkom aan de Hanekamp, waar deze prachtige, uitgebouwde jaren ’30 woning je direct weet te verrassen. Achter de charmante gevel met stijlvolle voordeur schuilt namelijk een verrassend ruim en sfeervol huis. Vanuit het huis kijk je uit over een groot plantsoen. En ook aan de achterkant heb je veel gevoel van privacy. Hier woon je comfortabel, met volop leefruimte én op een ideale plek in Zwolle.
WONEN MET SFEER EN RUIMTE
De royale woonkamer is een absolute blikvanger. Dankzij de houtkachel en de fijne lichtinval is dit een warme en uitnodigende plek waar je je meteen thuis voelt. Aan de achterkant bevindt zich het eetgedeelte, met voldoende ruimte voor een grote eettafel en een mooi uitzicht op de tuin. Perfect voor lange avonden tafelen met familie en vrienden.
BUITENRUIMTE
De tuin is mooi en slim ingericht. Er is een groot terras, waar je een flinke tuinset kunt plaatsen. En er is een stuk gazon en lekker veel groen. Achterin de tuin staat een fijne, grote berging. Ideaal om te klussen en lekker veel spullen op te bergen.
LOCATIE, LOCATIE, LOCATIE
De Hanekamp vormt de verbinding tussen de geliefde wijken Assendorp en Wipstrik, beide bekend om hun karakteristieke vooroorlogse bebouwing en prettige leefomgeving. In de directe omgeving vind je pleintjes, scholen en een fantastische speeltuin op steenworp afstand. Ook Park de Weezenlanden, het monumentale Openluchtbad en de Isala Klinieken liggen dichtbij. Daarnaast bereik je winkels, supermarkten, het station en de binnenstad binnen enkele minuten fietsen.
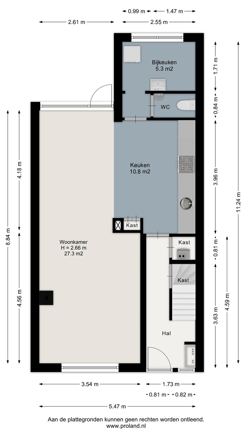
INDELING:
KELDER:
* Provisiekelder.
BEGANE GROND:
* Entree, gang, meterkast, bergkast/stookruimte.
* Strak afgewerkte lichte woonkamer met laminaatvloer, houtkachel en deur naar de achtertuin.
* Open keuken in lichte kleurstelling met inbouwapparatuur zoals: 4-pits gaskookplaat, afzuigkap, oven, vaatwasser, koelkast en vriezer.
* Toiletruimte met staande wc.
* Bijkeuken met wastafelmeubel en wasmachine-opstelling.
1E VERDIEPING:
* Overloop met bergkast.
* 1 ruime slaapkamer met dakraam en bergruimte aan de voorkant en 2 ruime slaapkamers aan de achterkant.
* Moderne badkamer met inloopdouche (met regendouche), hangende wc, vloerverwarming, badkamermeubel en mechanische ventilatie(alles in 2022 uitgevoerd).
ZOLDER:
* Bergzolder.
GENIETEN VAN RUST, GROEN EN ZON
De diepe, zonnige achtertuin van circa 55 m² is een heerlijke plek om te ontspannen. Of je nu wilt genieten van de zon, tuinieren of gezellig buiten eten; het kan hier allemaal.
KENMERKEN:
* Bouwjaar: 1930
* Gebruiksoppervlakte wonen: 100 M²
* Inhoud: 364 M³
* Perceeloppervlakte: 142 m²
* Verwarming en warm water: Nefit Proline HR-combiketel uit (2016)
* 7 zonnepanelen (geïnstalleerd in 2024)
* Zonnige achtertuin van ca. 55 m²
* Schilderwerk: achterkant woning 2022, voorkant 2024
Kortom:
Een sfeervolle, ruime en goed gelegen woning waar karakter en comfort perfect samenkomen. Een plek waar je elke dag met plezier thuiskomt